Grand Pinnacle Tribune

Intelligent news, finally!
World News · 6 min read

Hurricane Melissa Devastates Jamaica With Record Force

Jamaica faces catastrophic flooding, power outages, and widespread damage as Hurricane Melissa becomes the most powerful storm in the island’s recorded history.

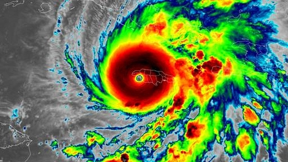
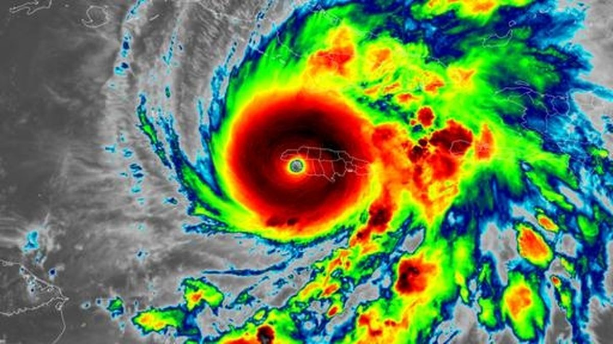
On October 28, 2025, Hurricane Melissa, a catastrophic Category 5 storm, crashed into southwestern Jamaica, unleashing a fury rarely witnessed in the Atlantic. With sustained winds clocking in at a staggering 185 mph (295 kph) near New Hope, Melissa instantly carved its name into the record books as the strongest hurricane to strike Jamaica in 174 years of documented history, according to the Associated Press. The storm’s arrival was anything but subtle—windows shattered, trees toppled, and roofs, even those atop hospitals, were ripped away as the tempest swept across the island.

Residents across Jamaica’s southwestern region awoke to scenes of devastation. Heavy floodwaters surged through communities, particularly in St. Elizabeth parish, which local officials described as being “underwater.” Landslides and boulders blocked vital roads, while fallen trees and power lines left approximately 540,000 customers—about 77% of the nation—without electricity, as reported by AP. Even as the storm battered the island, at least three families found themselves trapped in their homes in Black River, with emergency crews unable to reach them due to the perilous conditions.

Desmond McKenzie, deputy chairman of Jamaica’s Disaster Risk Management Council, painted a dire picture in statements to the press: “Roofs were flying off. We are hoping and praying that the situation will ease so that some attempt can be made to get to those persons.” He emphasized that it was still too early to assess the full extent of the damage, given that Melissa continued to pummel the island.

The storm’s impact was compounded by its slow movement, which prolonged exposure to its catastrophic winds and rain. The Meteorological Service of Jamaica had warned that conditions would “get significantly worse” throughout the day, and the U.S. National Hurricane Center predicted “catastrophic winds, flash flooding and storm surges.” According to the BBC, up to 30 inches (76 centimeters) of rain was expected in some areas, with storm surges reaching as high as four meters (about 13 feet).

Prime Minister Andrew Holness didn’t mince words when speaking to CNN: “There is no infrastructure in the region that can withstand a Category 5. The question now is the speed of recovery. That’s the challenge.” He further told Anderson Cooper, “Reports that we have had so far would include damage to hospitals, significant damage to residential property, housing and commercial property as well.” Holness was bracing for the worst, stating, “Given the strength of the storm, I am expecting that there would be some loss of life.”

Indeed, by Monday, three storm-related deaths had been reported in Jamaica, all involving falling trees. Across the Caribbean, the storm’s toll had already reached seven fatalities—three in Jamaica, three in Haiti, and one in the Dominican Republic, with one person still missing, according to AP.

Hospitals were not spared from the destruction. Four main hospitals sustained damage, and one lost power entirely, forcing the evacuation of 75 patients in the midst of the chaos. Former Jamaican senator Imani Duncan-Price told BBC, “People are trying to rescue people in the middle of the storm just to save lives.” The government’s efforts to help those in need were hampered by the relentless weather, but plans were in place for immediate rescue operations once conditions allowed. “We have boats, helicopters, you name it,” McKenzie assured.

Jamaica’s highland communities, already vulnerable to landslides and flooding, faced heightened risk as the slow-moving storm refused to relent. Around 15,000 people sought refuge in shelters, while the majority of the population hunkered down in their homes, hoping for the best. Colin Bogle, a Mercy Corps adviser, described the tension from Portmore: “The noise is relentless. People are anxious and just trying to hold on until the storm passes.”

The storm’s power was so immense that it tied two records for the strongest Atlantic hurricane at landfall: its 892 millibar central pressure matched the infamous 1935 Labor Day hurricane in Florida, while its wind speed equaled both the 1935 hurricane and 2019’s Hurricane Dorian, hurricane scientists Phil Klotzbach and Brian McNoldy told AP. “It’s been a remarkable, just a beast of a storm,” Klotzbach remarked.

Wildlife, too, became a concern as flooding threatened to displace crocodiles from their natural habitats. The South East Regional Health Authority issued a stark warning: “Rising water levels in rivers, gullies, and swamps could cause crocodiles to move into residential areas. Residents living near these areas are therefore advised to remain vigilant and avoid flood waters.” In Kingston, officials cautioned people to watch for crocodiles that might be swept into unfamiliar territory by the deluge.

The U.S. Defense Department released dramatic footage from inside Hurricane Melissa, captured by the Air Force Reserve’s “Hurricane Hunters,” who flew multiple missions through the storm to collect vital weather data for the National Hurricane Center. Their efforts underscored the seriousness of the situation and the need for up-to-the-minute information as Melissa continued its destructive path.

As the hurricane moved northeast at 9 mph (15 kph), it maintained Category 4 strength and set its sights on Cuba. The U.S. National Hurricane Center tracked the eye of the storm about 110 miles (177 kilometers) southwest of Guantánamo Bay on Tuesday night. In anticipation, Cuban authorities evacuated approximately 500,000 people from vulnerable areas in the east, with up to 20 inches (51 centimeters) of rain and significant storm surges forecast. President Miguel Díaz-Canel urged citizens not to underestimate the storm, calling it “the strongest ever to hit national territory,” as reported by AP and the state newspaper Granma. “Melissa will arrive with force, and there’s great concern about what it could destroy in its wake,” Díaz-Canel warned.

Communities in Cuba’s Santiago de Cuba province, the nation’s second largest city, scrambled to prepare. Residents fled to safer ground, some by bus, others by horse-drawn cart, and families took shelter wherever possible. “We’re helping as best we can,” said 83-year-old Eduviges Figueroa, who opened her home to neighbors. “Now I’m cooking for everyone.”

Back in Jamaica, the government worked to coordinate the distribution of emergency supplies. U.N. agencies and dozens of nonprofits had already pre-positioned food, medicine, and other essentials, hoping to avoid bottlenecks at ports and ensure a swift response once the storm passed. Officials aimed to reopen the island’s airports by October 30, a critical step in jumpstarting recovery efforts.

For many Jamaicans, the storm was both a terrifying ordeal and a moment of awe. Fifteen-year-old Gavin Fuller admitted to AP, “When the wind howls, it feels as if the world is falling apart. I wanted to know what it feels like to stand in the eye of something so powerful.” For now, the island’s focus is on survival and the daunting task of rebuilding after a once-in-a-century disaster.

Sources